Официальное опубликование правовых актов
ОФИЦИАЛЬНОЕ ОПУБЛИКОВАНИЕ
Приказ администрации Краснодарского края от 15.09.2022 № 780-КН
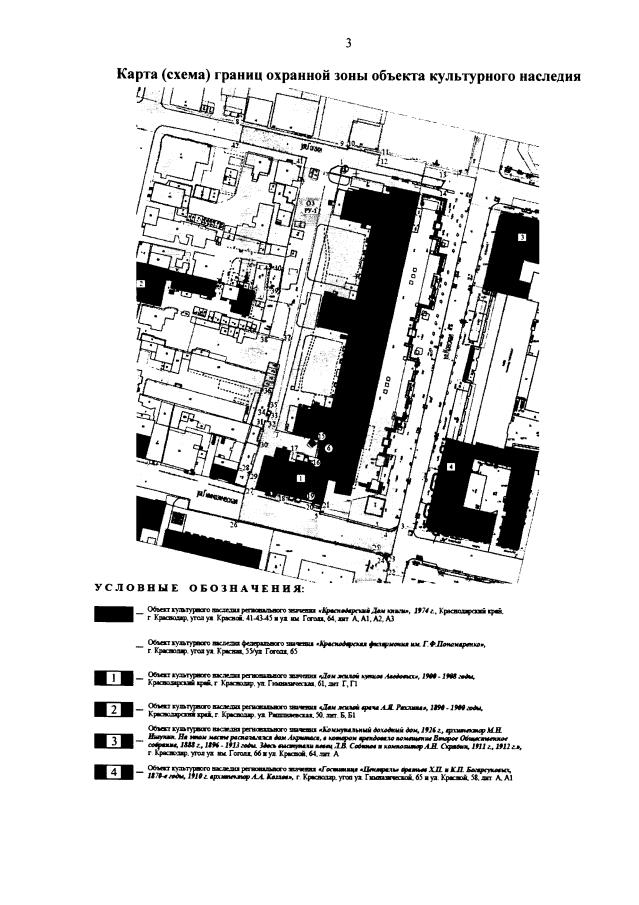
"Об установлении зон охраны, утверждении режимов использования земель и требований к градостроительным регламентам в границах территорий данных зон объекта культурного наследия регионального значения "Краснодарский Дом книги", 1974 г., Краснодарский край, город Краснодар, угол ул. Красной, 41-43-45 и ул. им. Гоголя, 64, лит. А, А1, А2, АЗ"
Номер опубликования: 2301202209220001
Дата опубликования: 22.09.2022
Страница №5 из 14:
Увеличить