Официальное опубликование правовых актов
ОФИЦИАЛЬНОЕ ОПУБЛИКОВАНИЕ
Приказ администрации Краснодарского края от 15.08.2022 № 714-КН
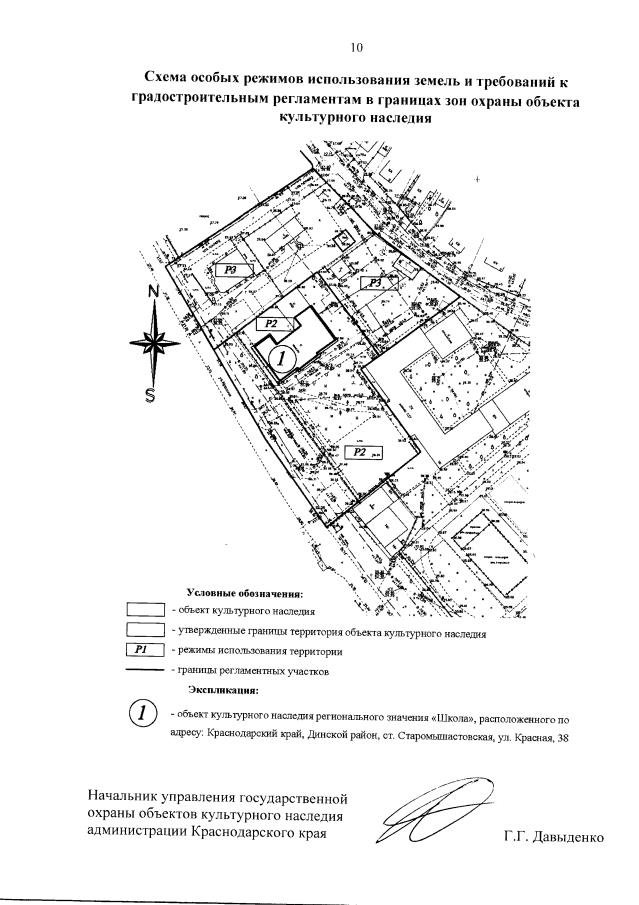
"Об установлении зон охраны, утверждении режимов использования земель и требований к градостроительным регламентам в границах территорий данных зон объекта культурного наследия регионального значения "Школа", Краснодарский край, Динской район, ст-ца Старомышастовская, ул. Красная, 38"
Номер опубликования: 2301202208220003
Дата опубликования: 22.08.2022
Страница №17 из 17:
Увеличить