Официальное опубликование правовых актов
ОФИЦИАЛЬНОЕ ОПУБЛИКОВАНИЕ
Приказ администрации Краснодарского края от 04.08.2022 № 689-КН
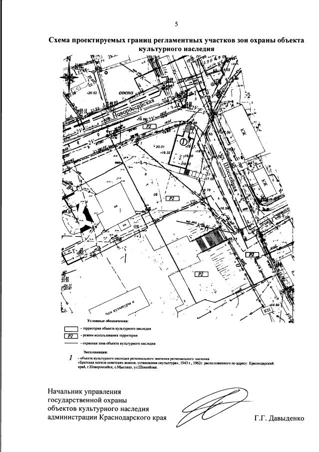
"Об утверждении границ и режима использования территории, а также зон охраны, режимов использования земель и требований к градостроительным регламентам в границах территорий данных зон объекта культурного наследия регионального значения "Братская могила советских воинов, установлена скульптура", 1943 г., 1962 г., Краснодарский край, г. Новороссийск, с. Мысхако, ул. Шоссейная"
Номер опубликования: 2301202208110015
Дата опубликования: 11.08.2022
Страница №14 из 14:
Увеличить