Официальное опубликование правовых актов
ОФИЦИАЛЬНОЕ ОПУБЛИКОВАНИЕ
Приказ администрации Краснодарского края от 03.02.2022 № 68-КН
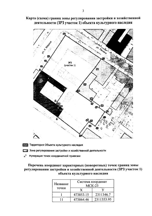
"Об утверждении границ и режима использования территории, а также установлении зон охраны, утверждении режимов использования земель и требований к градостроительным регламентам в границах территорий данных зон объекта культурного наследия регионального значения "Контора "Международной компании жатвенных машин в Америке" и Армавирская торговая биржа, гостиница "Версаль", где в 1918 году размещался штаб войск Красной Армии в Лабинском отделе и ревком большевиков", 1875 г., 1918 г., Краснодарский край, г. Армавир, угол ул. Мира, 47 и ул. К. Маркса, 55"
Номер опубликования: 2301202202100002
Дата опубликования: 10.02.2022
Страница №9 из 16:
Увеличить