Официальное опубликование правовых актов
ОФИЦИАЛЬНОЕ ОПУБЛИКОВАНИЕ
Приказ администрации Краснодарского края от 09.11.2021 № 855-КН
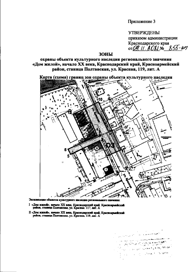
"Об установлении зон охраны, утверждении режимов использования земель и требований к градостроительным регламентам в границах территорий данных зон объектов культурного наследия регионального значения "Дом жилой", начало XX века, Краснодарский край, Красноармейский район, станица Полтавская, ул. Красная, 117, лит. А и "Дом жилой", начало XX века, Краснодарский край, Красноармейский район, станица Полтавская, ул. Красная, 119, лит. А"
Номер опубликования: 2301202111160004
Дата опубликования: 16.11.2021
Страница №12 из 20:
Увеличить