Приказ администрации Краснодарского края от 17.09.2021 № 707-КН
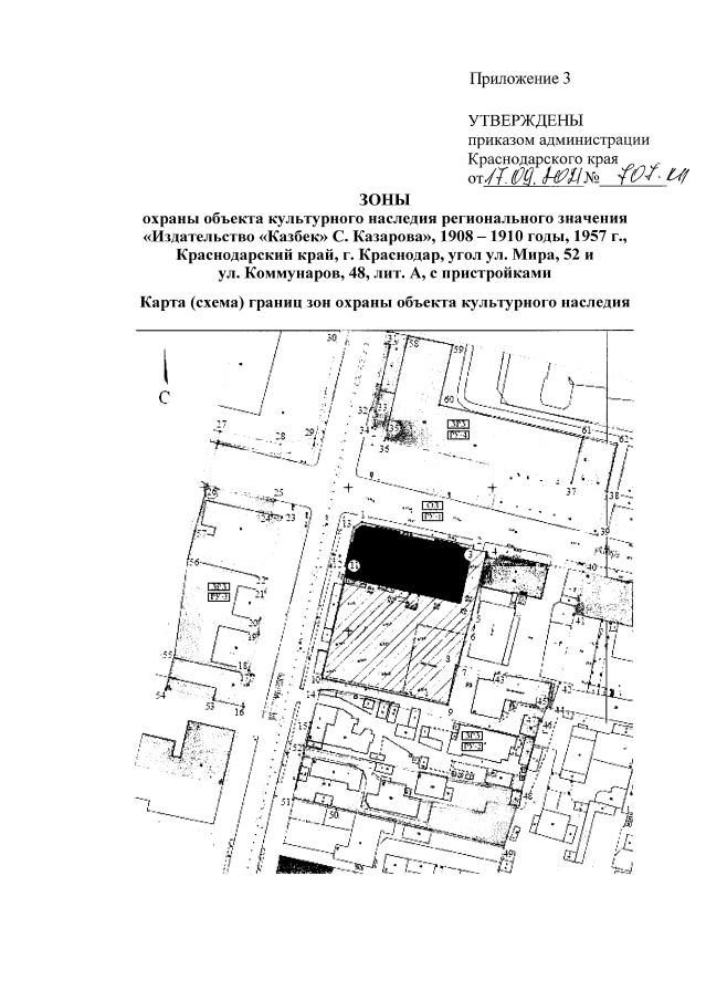
"Об утверждении границ и режима использования территории, а также установлении зон охраны, установлении режимов использования земель и требований к градостроительным регламентам в границах территорий данных зон объекта культурного наследия регионального значения "Издательство "Казбек" С. Казарова", 1908-1910 годы, 1957 г., Краснодарский край, г. Краснодар, угол ул. Мира, 52 и ул. Коммунаров, 48, лит. А, с пристройками"
"Об утверждении границ и режима использования территории, а также установлении зон охраны, установлении режимов использования земель и требований к градостроительным регламентам в границах территорий данных зон объекта культурного наследия регионального значения "Издательство "Казбек" С. Казарова", 1908-1910 годы, 1957 г., Краснодарский край, г. Краснодар, угол ул. Мира, 52 и ул. Коммунаров, 48, лит. А, с пристройками"
Номер опубликования: 2301202109230011
Дата опубликования:
23.09.2021
