Приказ администрации Краснодарского края от 09.07.2021 № 445-КН
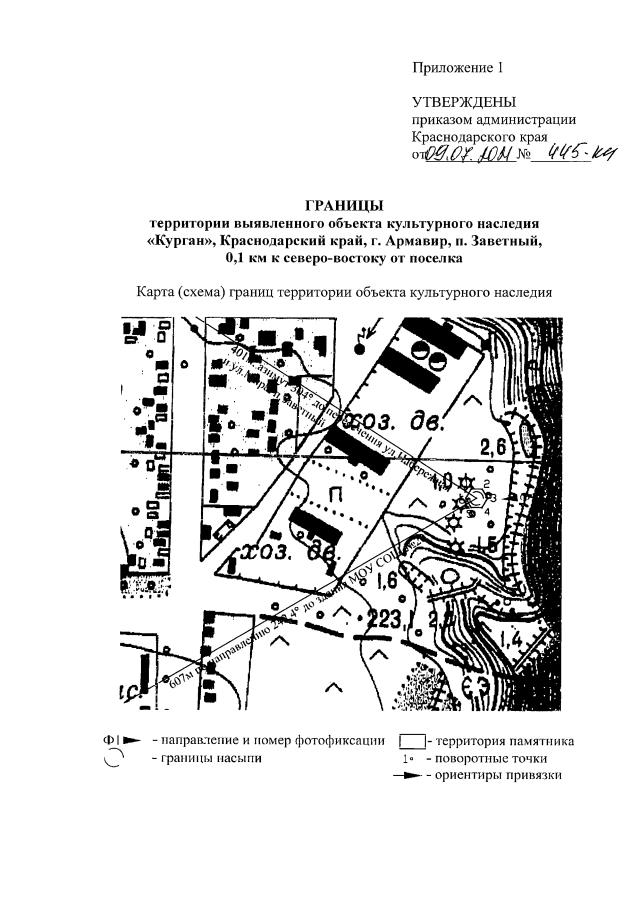
"Об утверждении границ и режима использования территории выявленного объекта культурного наследия "Курган", Краснодарский край, г. Армавир, п. Заветный, 0,1 км к северо-востоку от поселка"
"Об утверждении границ и режима использования территории выявленного объекта культурного наследия "Курган", Краснодарский край, г. Армавир, п. Заветный, 0,1 км к северо-востоку от поселка"
Номер опубликования: 2301202107160005
Дата опубликования:
16.07.2021
