Официальное опубликование правовых актов
ОФИЦИАЛЬНОЕ ОПУБЛИКОВАНИЕ
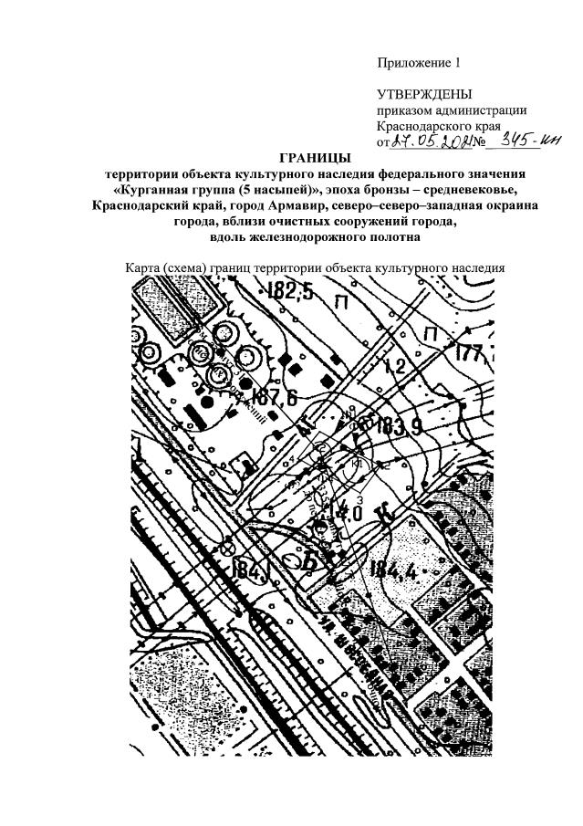
Приказ администрации Краснодарского края от 27.05.2021 № 345-КН
"Об утверждении границ и режима использования территории объекта культурного наследия федерального значения "Курганная группа (5 насыпей)", эпоха бронзы - средневековье, Краснодарский край, город Армавир, северо-северо-западная окраина города, вблизи очистных сооружений города, вдоль железнодорожного полотна"
Номер опубликования: 2301202106030017
Дата опубликования: 03.06.2021
Страница №3 из 5:
Увеличить