Официальное опубликование правовых актов
ОФИЦИАЛЬНОЕ ОПУБЛИКОВАНИЕ
Приказ администрации Краснодарского края от 19.04.2021 № 175-КН
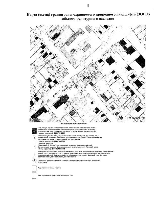
"Об утверждении границ и режима использования территории, а также установлении зон охраны, утверждении режимов использования земель и требований к градостроительным регламентам в границах территорий данных зон объекта культурного наследия регионального значения "Здание, где в 1918 г. размещался реввоенсовет Филипповской армии", 1918 г., Краснодарский край, Белореченский район, с. Великовечное, ул. Почтовая, 46"
Номер опубликования: 2301202104260011
Дата опубликования: 26.04.2021
Страница №11 из 17:
Увеличить