Приказ администрации Краснодарского края от 30.12.2020 № 955-КН
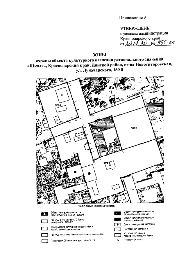
"Об утверждении границ и режима использования территории, а также зон охраны, режимов использования земель и требований к градостроительным регламентам в границах территорий данных зон объекта культурного наследия регионального значения "Школа", Краснодарский край, Динской район, ст-ца Новотитаровская, ул. Луначарского, 169 б"
"Об утверждении границ и режима использования территории, а также зон охраны, режимов использования земель и требований к градостроительным регламентам в границах территорий данных зон объекта культурного наследия регионального значения "Школа", Краснодарский край, Динской район, ст-ца Новотитаровская, ул. Луначарского, 169 б"
Номер опубликования: 2301202101050020
Дата опубликования:
05.01.2021
