Приказ администрации Краснодарского края от 30.11.2020 № 784-КН
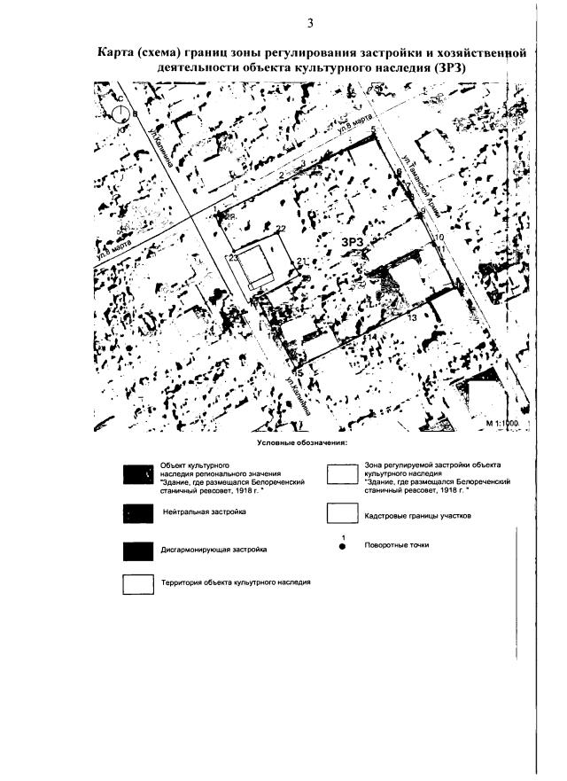
"Об утверждении зон охраны, режимов использования земель и требований к градостроительным регламентам в границах территорий данных зон объекта культурного наследия регионального значения "Здание, где размещался Белореченский станичный ревсовет", 1918 г., Краснодарский край, Белореченский район, г. Белореченск, ул. Калинина, 208"
"Об утверждении зон охраны, режимов использования земель и требований к градостроительным регламентам в границах территорий данных зон объекта культурного наследия регионального значения "Здание, где размещался Белореченский станичный ревсовет", 1918 г., Краснодарский край, Белореченский район, г. Белореченск, ул. Калинина, 208"
Номер опубликования: 2301202012070005
Дата опубликования:
07.12.2020
