Официальное опубликование правовых актов
ОФИЦИАЛЬНОЕ ОПУБЛИКОВАНИЕ
Приказ администрации Краснодарского края от 13.08.2020 № 487-КН
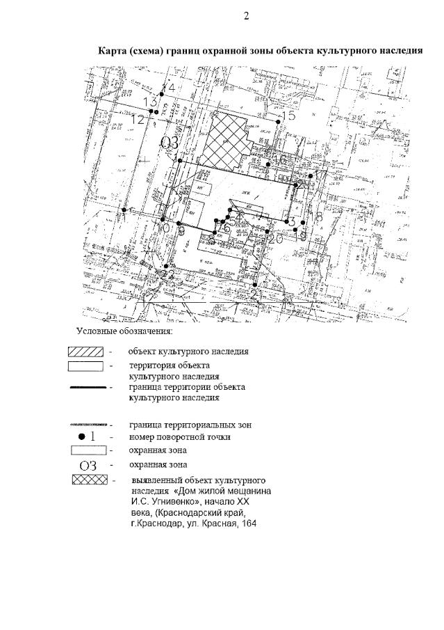
"Об утверждении границ и режима использования территории объектов культурного наследия регионального значения "Дом жилой А.М. Проценко", 1910 г., Краснодарский край, г. Краснодар, угол ул. Красной, 168 и ул. Новокузнечной, 15, лит. А, "Дом жилой", 1908-1912 гг., Краснодарский край, г. Краснодар, угол ул. Красной, 162 и ул. Северной, 285, лит. Б, Б1, с пристройками, а также зон охраны, режимов использования земель и требований к градостроительным регламентам в границах территорий данных зон объектов культурного наследия регионального значения "Дом жилой А.М. Проценко", 1910 г., Краснодарский край, г. Краснодар, угол ул. Красной, 168 и ул. Новокузнечной, 15, лит. А, "Женская учительская семинария", 1910-1915 годы, Краснодарский край, г. Краснодар, ул. Красная, 166, лит. А, А1, "Дом жилой", 1908-1912 гг., Краснодарский край, г. Краснодар, угол ул. Красной, 162 и ул. Северной, 285, лит. Б, Б1, с пристройками"
Номер опубликования: 2301202008190004
Дата опубликования: 19.08.2020
Страница №52 из 74:
Увеличить