Официальное опубликование правовых актов
ОФИЦИАЛЬНОЕ ОПУБЛИКОВАНИЕ
Приказ администрации Краснодарского края от 18.12.2019 № 228-КН
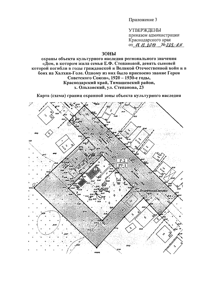
"Об утверждении границ и режима использования территории, а также зон охраны, режимов использования земель и требований к градостроительным регламентам в границах территорий данных зон объекта культурного наследия регионального значения "Дом, в котором жила семья Е.Ф. Степановой, девять сыновей которой погибли в годы гражданской и Великой Отечественной войн и в боях на Халхин-Голе. Одному из них было присвоено звание Героя Советского Союза", 1920 - 1930-е годы, Краснодарский край, Тимашевский район, х. Ольховский, ул. Степанова, 23"
Номер опубликования: 2301201912250005
Дата опубликования: 25.12.2019
Страница №8 из 32:
Увеличить