Официальное опубликование правовых актов
ОФИЦИАЛЬНОЕ ОПУБЛИКОВАНИЕ
Приказ администрации Краснодарского края от 10.01.2019 № 2-КН
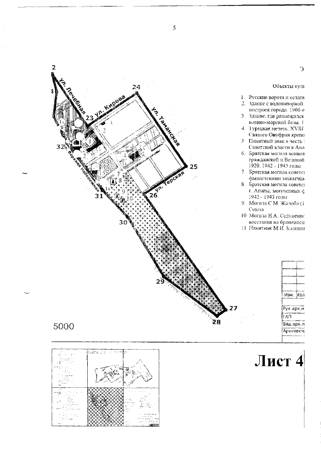
"Об утверждении предмета охраны, границ территории и требований к градостроительным регламентам в границах территории исторического поселения регионального значения город Анапа Краснодарского края"
Номер опубликования: 2301201901170001
Дата опубликования: 17.01.2019
Страница №31 из 48:
Увеличить