Официальное опубликование правовых актов
ОФИЦИАЛЬНОЕ ОПУБЛИКОВАНИЕ
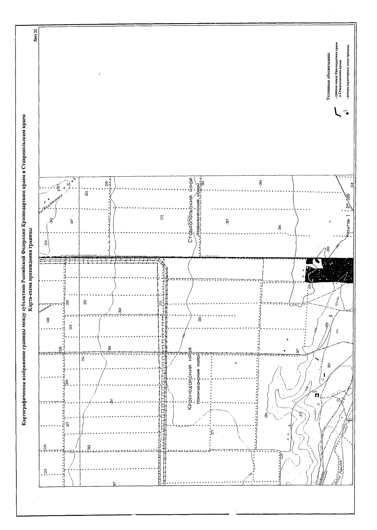
Закон Краснодарского края от 03.07.2024 № 5161-КЗ
"Об утверждении заключения Соглашения об установлении границы между субъектами Российской Федерации — Краснодарским краем и Ставропольским краем"
Номер опубликования: 2300202407110011
Дата опубликования: 11.07.2024
Страница №26 из 123:
Увеличить