Приказ Министерства природных ресурсов и экологии Чувашской Республики от 10.02.2020 № 82
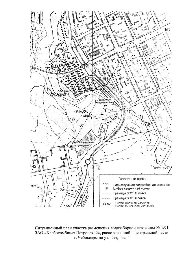
"Об установлении границ и режима зон санитарной охраны водозаборной скважины № 1/91 ЗАО "Хлебокомбинат Петровский", расположенной в центральной части г. Чебоксары по ул. Петрова, 4"
(Зарегистрирован 03.03.2020 № 5798)
"Об установлении границ и режима зон санитарной охраны водозаборной скважины № 1/91 ЗАО "Хлебокомбинат Петровский", расположенной в центральной части г. Чебоксары по ул. Петрова, 4"
(Зарегистрирован 03.03.2020 № 5798)
Номер опубликования: 2101202003040003
Дата опубликования:
04.03.2020
