Постановление Правительства Чеченской Республики от 07.08.2018 № 168
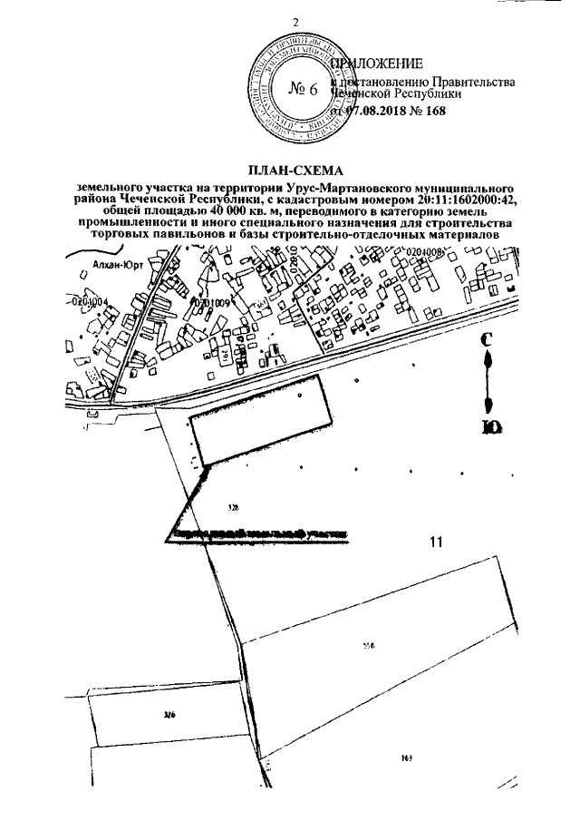
"О переводе земельного участка сельскохозяйственного назначения в Урус-Мартановском муниципальном районе Чеченской Республики в категорию земель промышленности и иного специального назначения"
"О переводе земельного участка сельскохозяйственного назначения в Урус-Мартановском муниципальном районе Чеченской Республики в категорию земель промышленности и иного специального назначения"
Номер опубликования: 2000201808090004
Дата опубликования:
09.08.2018
