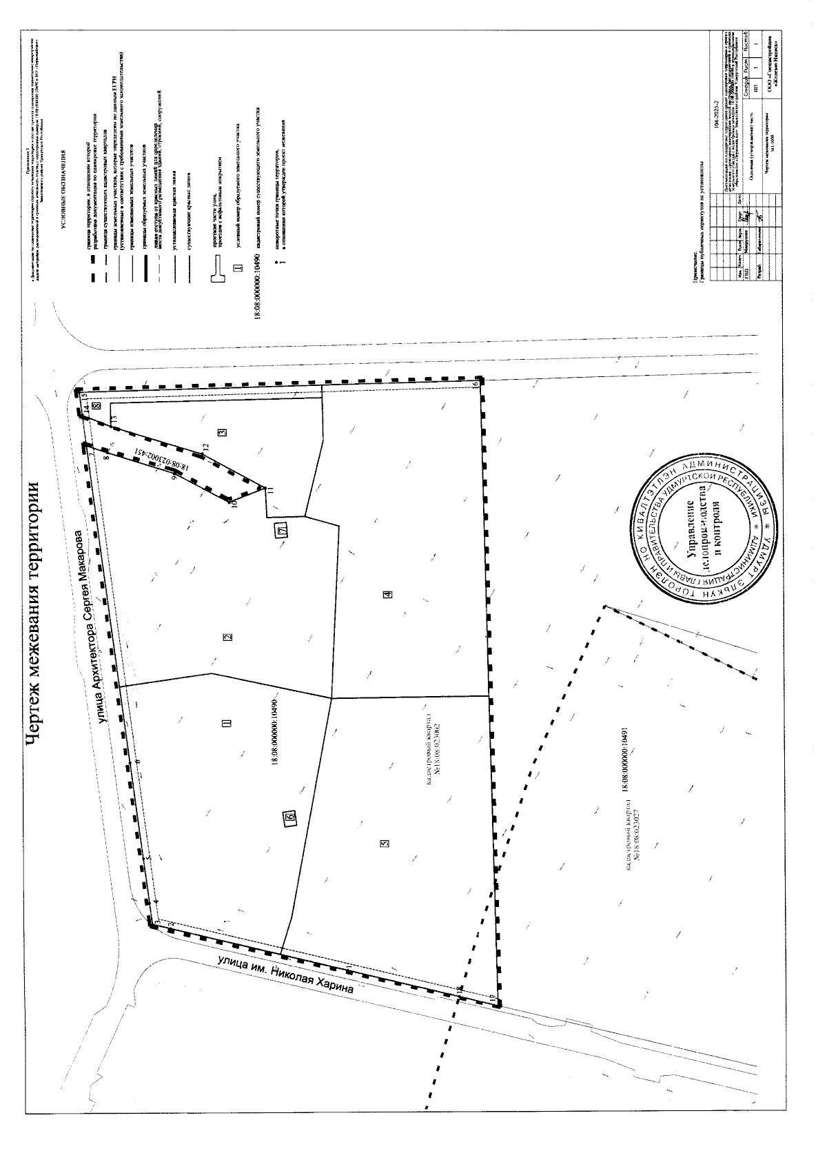
Постановление Правительства Удмуртской Республики от 14.07.2025 № 392
"Об утверждении Документации по планировке территории (проекта межевания территории в составе проекта планировки территории) микрорайона жилой застройки, расположенной в границах земельного участка с кадастровым номером 18:08:000000:10490 в МО "Первомайское" Завьяловского района Удмуртской Республики"
"Об утверждении Документации по планировке территории (проекта межевания территории в составе проекта планировки территории) микрорайона жилой застройки, расположенной в границах земельного участка с кадастровым номером 18:08:000000:10490 в МО "Первомайское" Завьяловского района Удмуртской Республики"
Номер опубликования: 1800202507190007
Дата опубликования:
19.07.2025
