Официальное опубликование правовых актов
ОФИЦИАЛЬНОЕ ОПУБЛИКОВАНИЕ
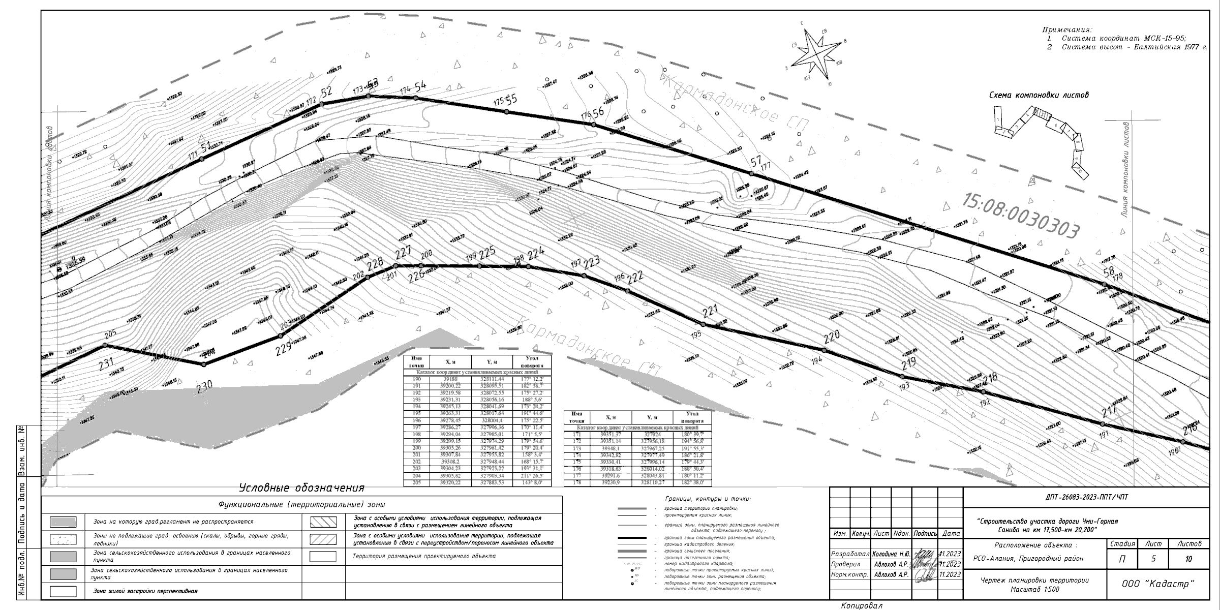
Приказ Министерства строительства и архитектуры Республики Северная Осетия-Алания от 22.02.2024 № 10
"Об утверждении документации по планировке территории для размещения объекта "Строительство автомобильной дороги Горная Саниба - Кармадон"
(Зарегистрирован 22.02.2024 № 0023-24-1)
Номер опубликования: 1501202402260005
Дата опубликования: 26.02.2024
Страница №10 из 132: