Приказ Департамента Республики Саха (Якутия) по охране объектов культурного наследия от 08.10.2019 № 160-ОД
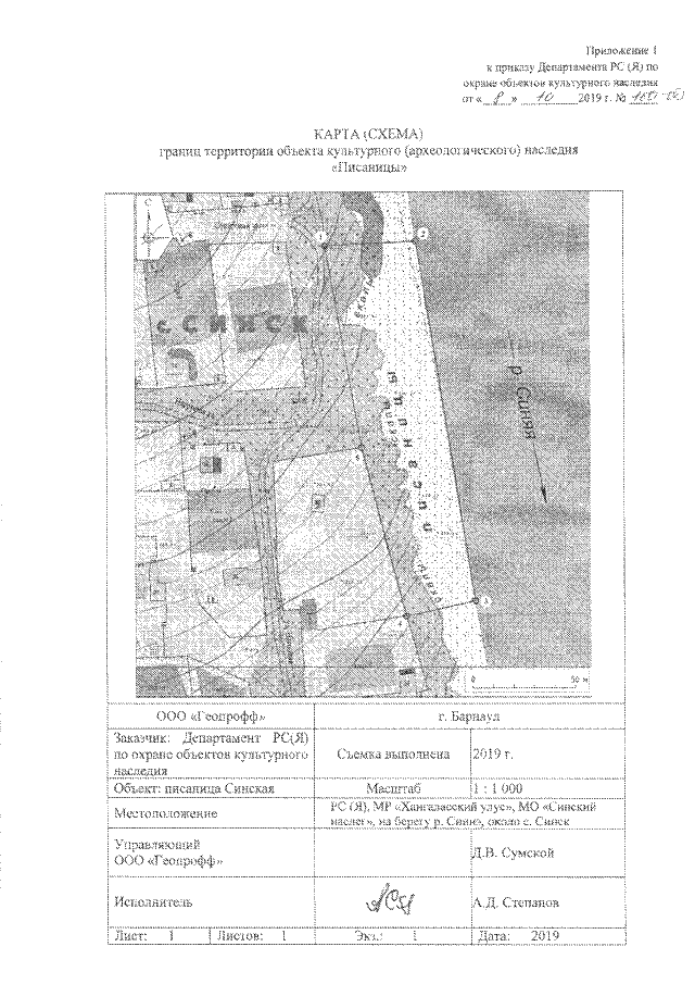
"Об утверждении границ территории объекта культурного (археологического) наследия "Писаницы"
(Зарегистрирован 23.10.2019 № RU140142019677)
"Об утверждении границ территории объекта культурного (археологического) наследия "Писаницы"
(Зарегистрирован 23.10.2019 № RU140142019677)
Номер опубликования: 1401201910250008
Дата опубликования:
25.10.2019
