Приказ Министерства культуры, национальной политики и архивного дела Республики Мордовия от 22.09.2023 № 293
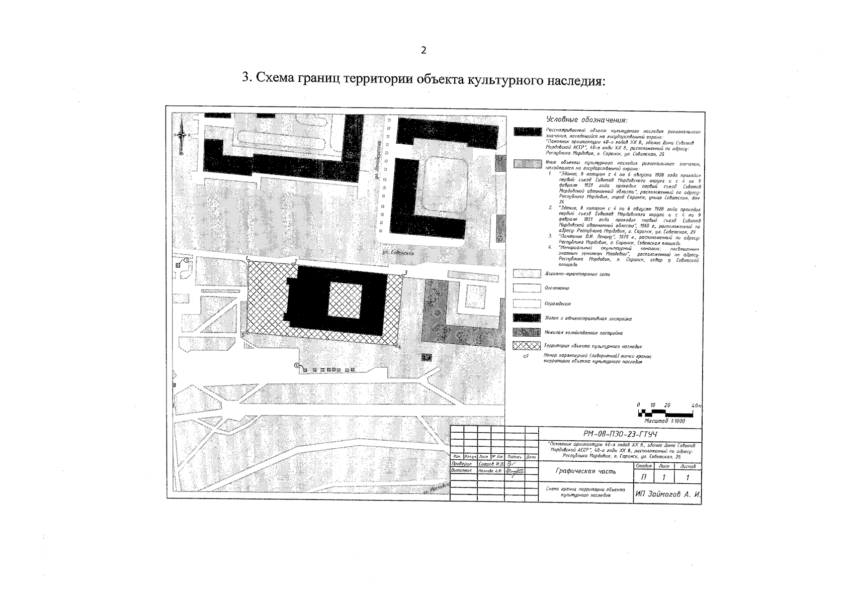
"Об утверждении границ территории и режимов использования земель в границах территории объекта культурного наследия регионального значения "Памятник архитектуры 40-х годов XX в., здание Дома Советов Мордовской АССР"
(Зарегистрирован 22.09.2023 № 042023029)
"Об утверждении границ территории и режимов использования земель в границах территории объекта культурного наследия регионального значения "Памятник архитектуры 40-х годов XX в., здание Дома Советов Мордовской АССР"
(Зарегистрирован 22.09.2023 № 042023029)
Номер опубликования: 1301202309250008
Дата опубликования:
25.09.2023
