Официальное опубликование правовых актов
ОФИЦИАЛЬНОЕ ОПУБЛИКОВАНИЕ
Приказ Министерства культуры, национальной политики и архивного дела Республики Мордовия от 10.01.2022 № 1
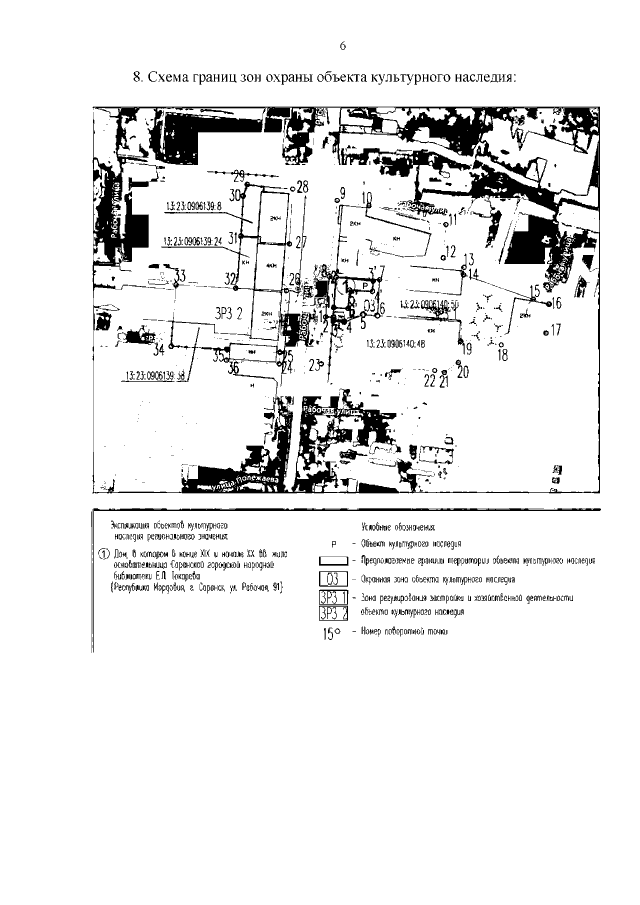
"Об утверждении зон охраны объекта культурного наследия регионального значения "Дом, в котором в конце XIX и начале XX вв. жила основательница Саранской городской народной библиотеки Е.Л. Токарева" и режимов использования земель и требований к градостроительным регламентам в границах территории данных зон"
Номер опубликования: 1301202201120003
Дата опубликования: 12.01.2022
Страница №8 из 15:
Увеличить