Постановление Правительства Республики Мордовия от 05.09.2022 № 601
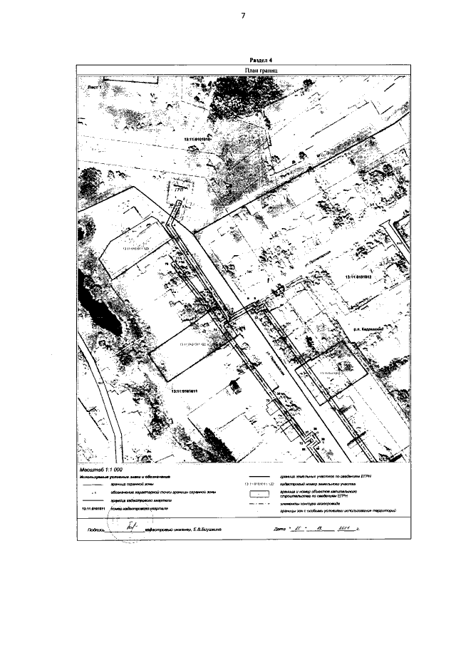
"Об утверждении границы охранной зоны газораспределительной сети"
"Об утверждении границы охранной зоны газораспределительной сети"
Номер опубликования: 1300202209050001
Дата опубликования:
05.09.2022
