Постановление Правительства Республики Мордовия от 29.08.2022 № 578
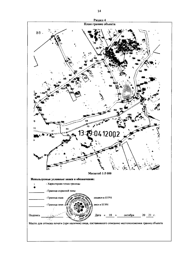
"Об утверждении границы охранной зоны газораспределительной сети"
"Об утверждении границы охранной зоны газораспределительной сети"
Номер опубликования: 1300202208300003
Дата опубликования:
30.08.2022
