Приказ Управления по охране объектов культурного наследия Республики Карелия от 16.12.2022 № 546
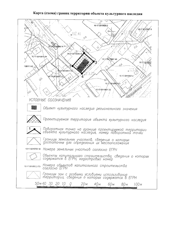
"Об утверждении границ территории объекта культурного наследия регионального значения "Дом, в котором в 1967–1969 г.г. жила сказительница Мария Ивановна Михеева (1884–1969 гг.)", 1967–1969 гг., расположенного по адресу: Республика Карелия, Калевальский район, пгт. Калевала, ул. М. Михеевой, д. 62"
"Об утверждении границ территории объекта культурного наследия регионального значения "Дом, в котором в 1967–1969 г.г. жила сказительница Мария Ивановна Михеева (1884–1969 гг.)", 1967–1969 гг., расположенного по адресу: Республика Карелия, Калевальский район, пгт. Калевала, ул. М. Михеевой, д. 62"
Номер опубликования: 1001202212160013
Дата опубликования:
16.12.2022
