Официальное опубликование правовых актов
ОФИЦИАЛЬНОЕ ОПУБЛИКОВАНИЕ
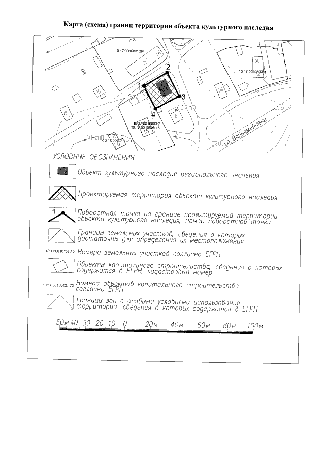
Приказ Управления по охране объектов культурного наследия Республики Карелия от 05.12.2022 № 513
"Об утверждении границ территории объекта культурного наследия регионального значения "Дом, в котором в 1920–1930–х гг. жила народная сказительница Хотеева Мавра Максимовна (1864–1938)", 1920–1930–е гг., расположенного по адресу: Республика Карелия, Калевальский район, п. Калевала, ул. Михеевой, д. 11"
Номер опубликования: 1001202212060012
Дата опубликования: 06.12.2022
Страница №4 из 4:
Увеличить