Приказ Управления по охране объектов культурного наследия Республики Карелия от 17.05.2021 № 325
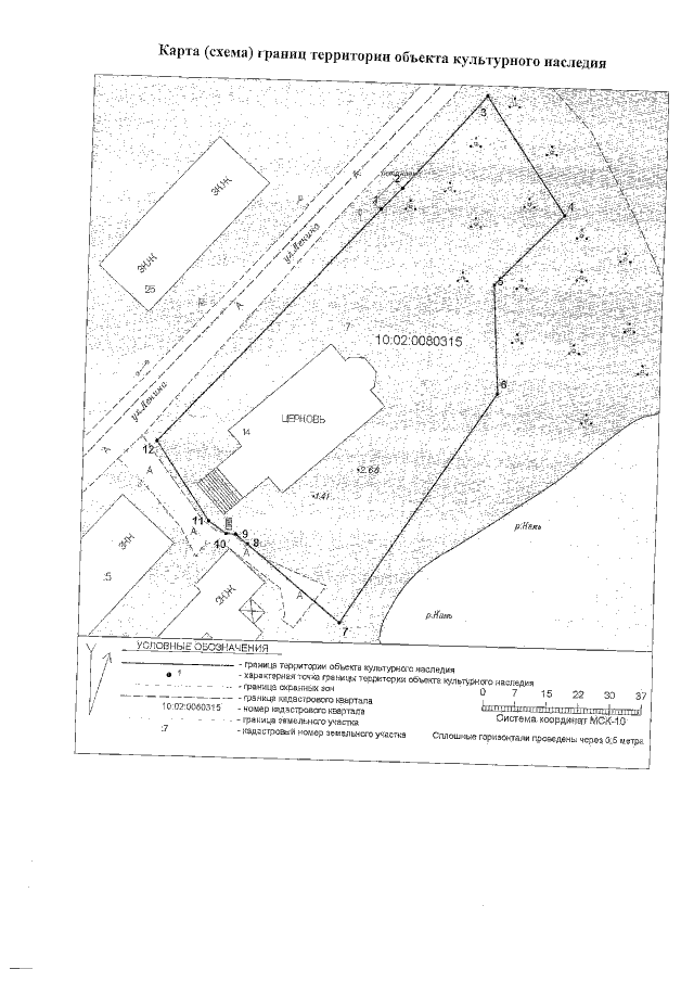
"Об утверждении границ территории объекта культурного наследия регионального значения "Собор Благовещенский", 1882–1904 гг., расположенного по адресу: Республика Карелия, Кемский район, г. Кемь, ул. Ленина, д. 14"
"Об утверждении границ территории объекта культурного наследия регионального значения "Собор Благовещенский", 1882–1904 гг., расположенного по адресу: Республика Карелия, Кемский район, г. Кемь, ул. Ленина, д. 14"
Номер опубликования: 1001202105200024
Дата опубликования:
20.05.2021
