Приказ Управления по охране объектов культурного наследия Республики Карелия от 17.05.2021 № 339
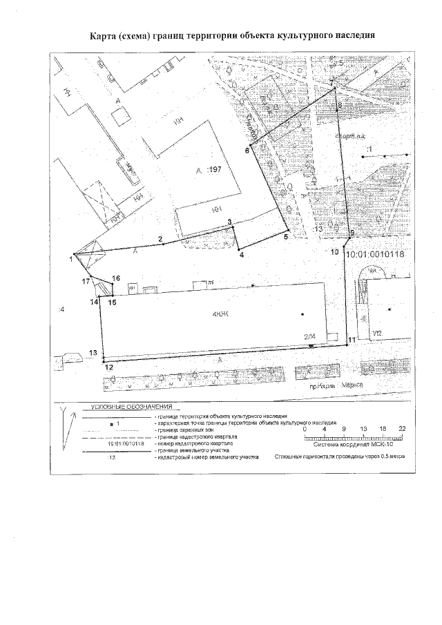
"Об утверждении границ территории объекта культурного наследия регионального значения "Дом жилой со встроенными общественно–торговыми помещениями", 1956 г., расположенного по адресу: Республика Карелия, г. Петрозаводск, проспект К. Маркса, д. 14"
"Об утверждении границ территории объекта культурного наследия регионального значения "Дом жилой со встроенными общественно–торговыми помещениями", 1956 г., расположенного по адресу: Республика Карелия, г. Петрозаводск, проспект К. Маркса, д. 14"
Номер опубликования: 1001202105200003
Дата опубликования:
20.05.2021
