Официальное опубликование правовых актов
ОФИЦИАЛЬНОЕ ОПУБЛИКОВАНИЕ
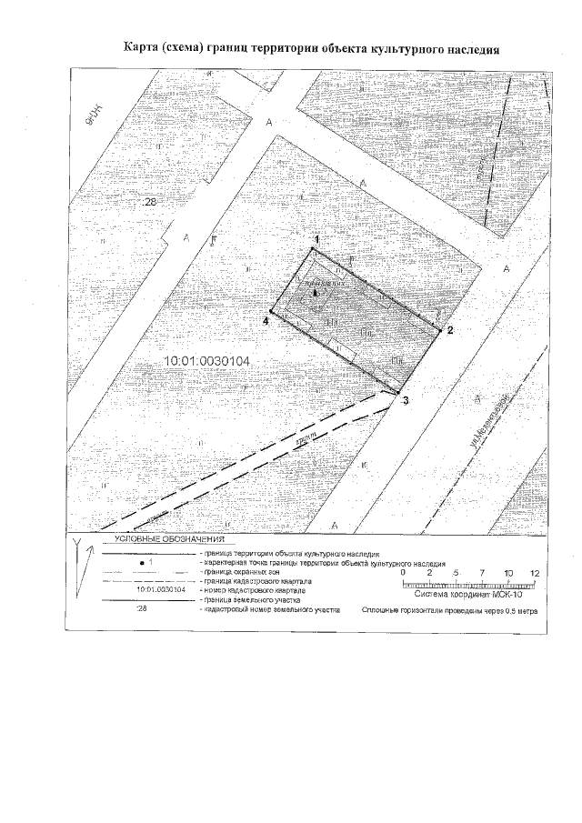
Приказ Управления по охране объектов культурного наследия Республики Карелия от 17.05.2021 № 335
"Об утверждении границ территории объекта культурного наследия регионального значения "Памятник Герою Советского Союза Марии Владимировне Мелентьевой (1922–1942)", 1978 г., расположенного по адресу: Республика Карелия, г. Петрозаводск, ул. Мелентьевой"
Номер опубликования: 1001202105200002
Дата опубликования: 20.05.2021
Страница №4 из 4:
Увеличить