Официальное опубликование правовых актов
ОФИЦИАЛЬНОЕ ОПУБЛИКОВАНИЕ
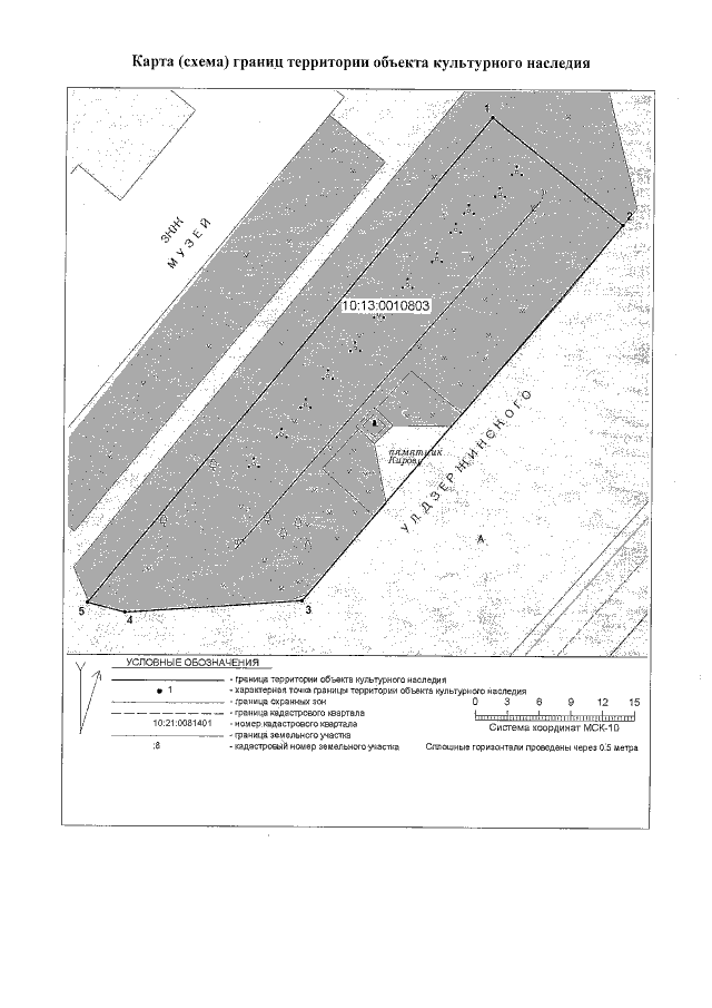
Приказ Управления по охране объектов культурного наследия Республики Карелия от 22.03.2021 № 171
"Об утверждении границ территории объекта культурного наследия федерального значения "Памятник С.М. Кирову", 1958 г., расположенного по адресу: Республика Карелия, Медвежьегорский район, г. Медвежьегорск, Центральная пл."
Номер опубликования: 1001202103250007
Дата опубликования: 25.03.2021
Страница №4 из 4:
Увеличить