Официальное опубликование правовых актов
ОФИЦИАЛЬНОЕ ОПУБЛИКОВАНИЕ
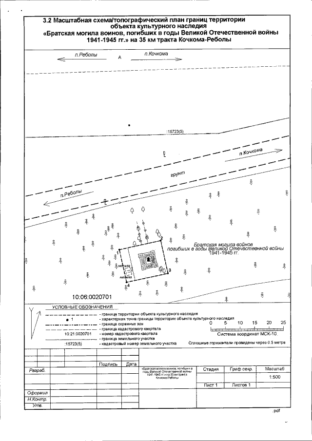
Приказ Управления по охране объектов культурного наследия Республики Карелия от 22.12.2017 № 120
"Об установлении границ территории объекта культурного наследия регионального значения "Братская могила воинов, погибших в годы Великой Отечественной войны 1941-1945 гг.", расположенного на 35 км тракта Кочкома-Реболы, Чернопорожского сельского поселения Сегежского муниципального района Республики Карелия"
Номер опубликования: 1001201712260008
Дата опубликования: 26.12.2017
Страница №5 из 5:
Увеличить