Официальное опубликование правовых актов
ОФИЦИАЛЬНОЕ ОПУБЛИКОВАНИЕ
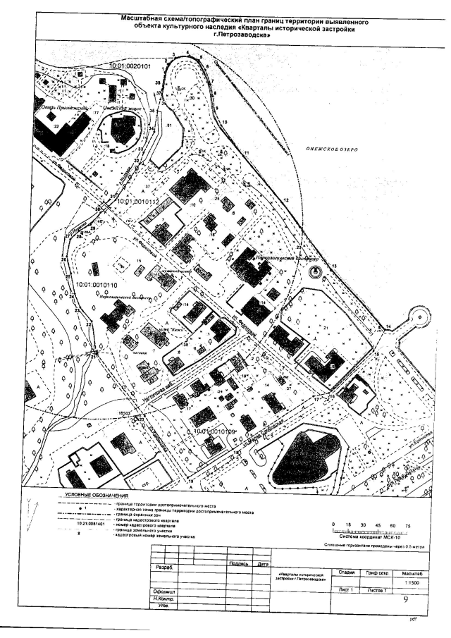
Приказ Управления по охране объектов культурного наследия Республики Карелия от 07.12.2017 № 103
"Об установлении границ территории выявленного объекта культурного наследия — достопримечательного места "Кварталы исторической застройки г. Петрозаводска", кон. XVIII – нач. ХХ вв., расположенного по адресу: Республика Карелия, г. Петрозаводск, территория, ограниченная набережной Онежского озера, рекой Неглинка, ул. Куйбышева, ул. Малой Слободской"
Номер опубликования: 1001201712080013
Дата опубликования: 08.12.2017
Страница №9 из 9:
Увеличить