Постановление Правительства Республики Калмыкия от 04.08.2023 № 259
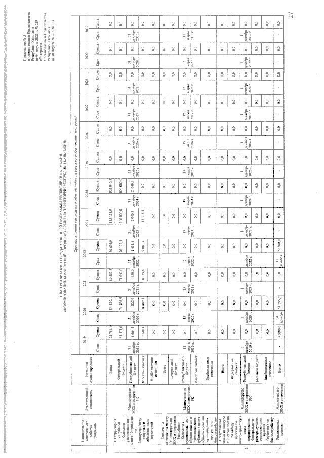
"О внесении изменений в государственную программу Республики Калмыкия "Формирование комфортной городской среды на территории Республики Калмыкия", утвержденную постановлением Правительства Республики Калмыкия от 30 августа 2017 г. № 303"
"О внесении изменений в государственную программу Республики Калмыкия "Формирование комфортной городской среды на территории Республики Калмыкия", утвержденную постановлением Правительства Республики Калмыкия от 30 августа 2017 г. № 303"
Номер опубликования: 0800202308090001
Дата опубликования:
09.08.2023
