Официальное опубликование правовых актов
ОФИЦИАЛЬНОЕ ОПУБЛИКОВАНИЕ
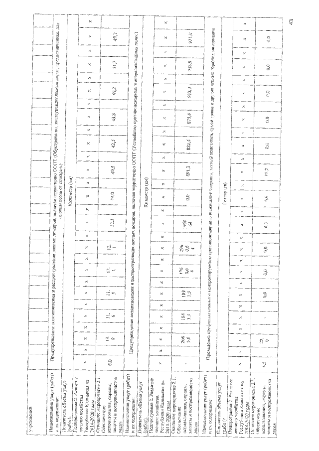
Постановление Правительства Республики Калмыкия от 09.06.2018 № 183
"О внесении изменений в Государственную программу Республики Калмыкия "Охрана окружающей среды на 2013-2020 годы", утвержденную постановлением Правительства Республики Калмыкия от 6 июня 2013 г. № 275"
Номер опубликования: 0800201806150001
Дата опубликования: 15.06.2018
Страница №43 из 76:
Увеличить