Приказ Управления по государственной охране объектов культурного наследия Кабардино-Балкарской Республики от 11.05.2020 № 58-ОД/2020
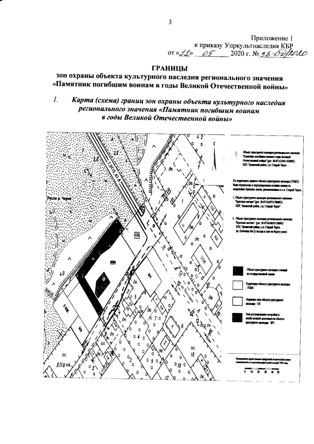
"Об установлении границ зон охраны объекта культурного наследия регионального значения "Памятник погибшим воинам в годы Великой Отечественной войны", особых режимов использования земель и требований к градостроительным регламентам в границах территорий данных зон"
"Об установлении границ зон охраны объекта культурного наследия регионального значения "Памятник погибшим воинам в годы Великой Отечественной войны", особых режимов использования земель и требований к градостроительным регламентам в границах территорий данных зон"
Номер опубликования: 0701202005130001
Дата опубликования:
13.05.2020
