Официальное опубликование правовых актов
ОФИЦИАЛЬНОЕ ОПУБЛИКОВАНИЕ
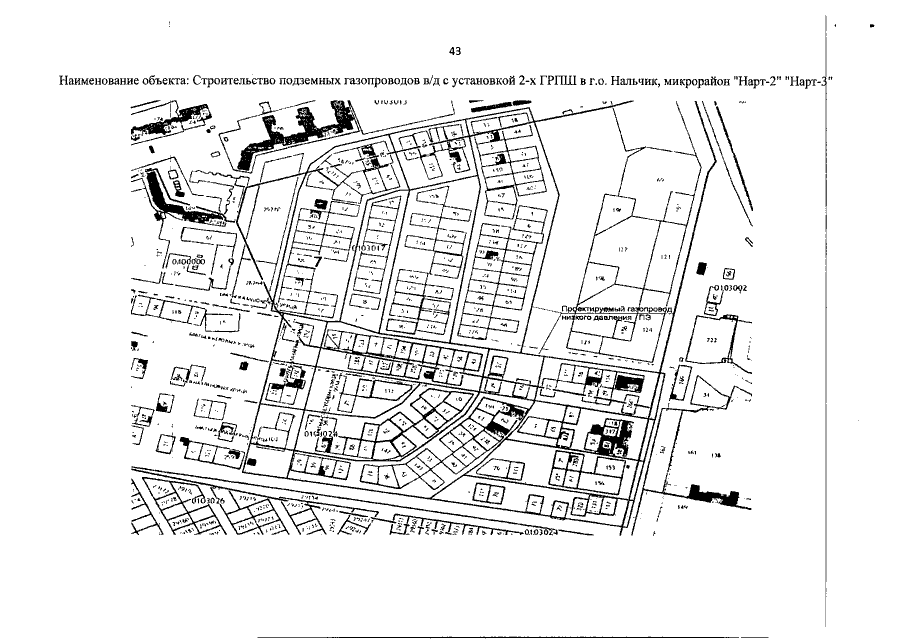
Распоряжение Правительства Кабардино-Балкарской Республики от 26.11.2019 № 570-рп
Номер опубликования: 0700201912040011
Дата опубликования: 04.12.2019
Страница №44 из 55:
Увеличить