Официальное опубликование правовых актов
ОФИЦИАЛЬНОЕ ОПУБЛИКОВАНИЕ
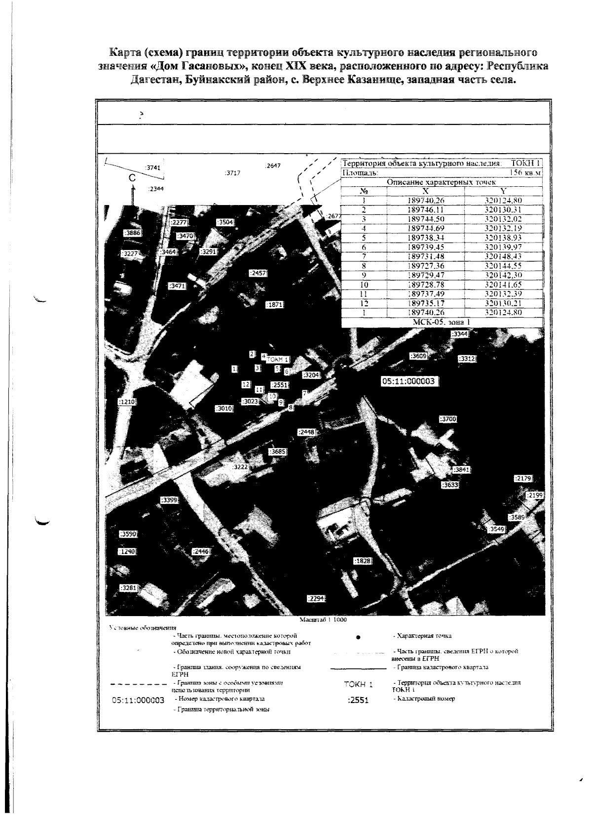
Приказ Агентства по охране культурного наследия Республики Дагестан от 04.09.2024 № 126/24-ОД
"Об утверждении границ территории объекта культурного наследия регионального значения "Дом Гасановых", конец XIX века, (Республика Дагестан, Буйнакский район, с.Верхнее Казанище, западная часть села)"
(Зарегистрирован 20.09.2024 № 7248)
Номер опубликования: 0501202409270012
Дата опубликования: 27.09.2024
Страница №4 из 5:
Увеличить