Официальное опубликование правовых актов
ОФИЦИАЛЬНОЕ ОПУБЛИКОВАНИЕ
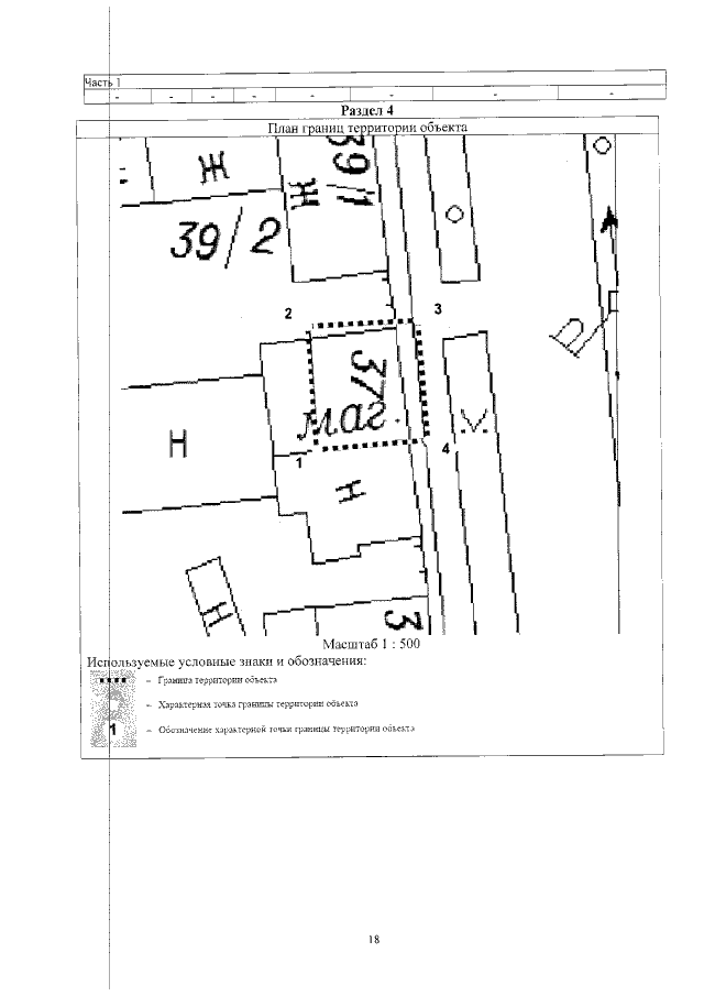
Приказ Администрации Главы Республики Бурятия и Правительства Республики Бурятия от 29.11.2021 № 565д
"Об утверждении границ территорий объектов культурного наследия регионального значения, расположенных в г. Улан-Удэ Республики Бурятия"
(Зарегистрирован 16.12.2021 № 032021532)
Номер опубликования: 0301202112200049
Дата опубликования: 20.12.2021
Страница №19 из 29:
Увеличить