Официальное опубликование правовых актов
ОФИЦИАЛЬНОЕ ОПУБЛИКОВАНИЕ
Приказ Администрации Главы Республики Бурятия и Правительства Республики Бурятия от 28.05.2020 № 204д
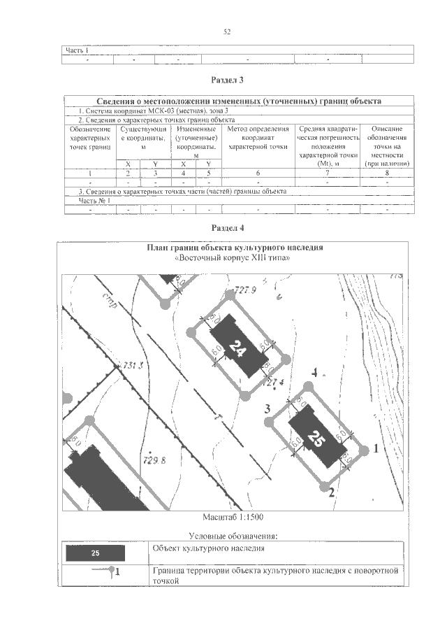
"О внесении изменения в приказ Администрации Главы Республики Бурятия и Правительства Республики Бурятия от 25.01.2018 № 23д "О включении выявленных объектов культурного наследия в единый государственный реестр объектов культурного наследия (памятников истории и культуры) народов Российской Федерации в качестве объектов культурного наследия регионального значения в составе объекта культурного наследия регионального значения "Здания "Красных казарм" г. Кяхта, территория в/ч" и утверждении границ их территории"
(Зарегистрирован 02.06.2020 № 032020204)
Номер опубликования: 0301202006080002
Дата опубликования: 08.06.2020
Страница №52 из 74:
Увеличить