Официальное опубликование правовых актов
ОФИЦИАЛЬНОЕ ОПУБЛИКОВАНИЕ
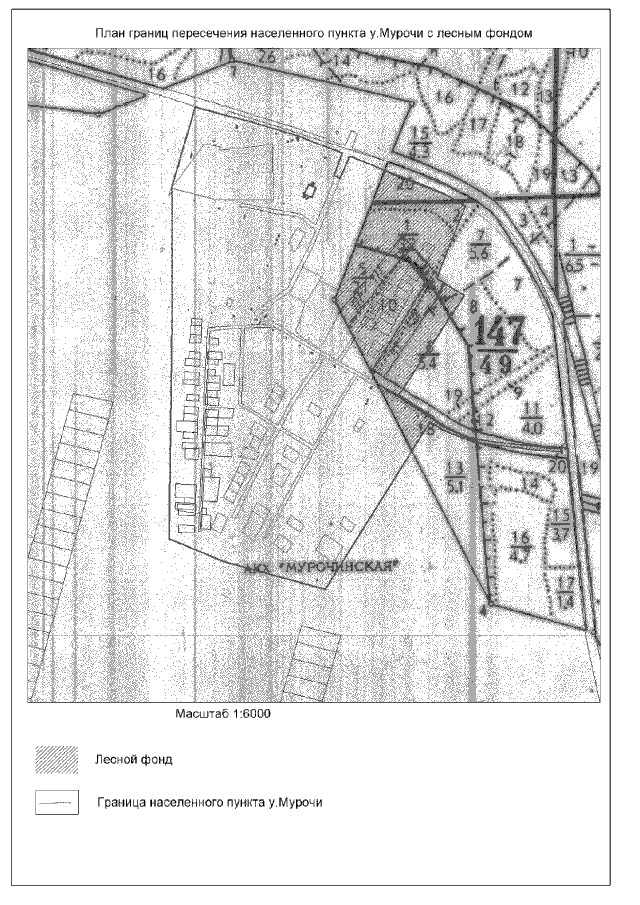
Распоряжение Правительства Республики Бурятия от 16.01.2020 № 14-р
Номер опубликования: 0300202001240010
Дата опубликования: 24.01.2020
Страница №86 из 146:
Увеличить