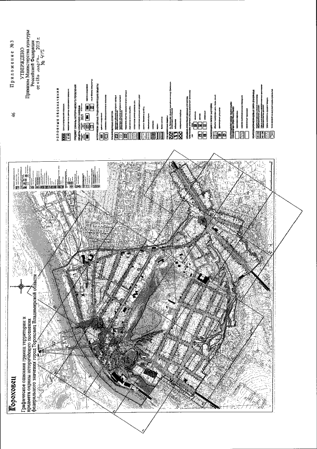
Приказ Министерства культуры Российской Федерации от 18.03.2015 № 415
"Об утверждении границ территории и предмета охраны исторического поселения федерального значения город Гороховец Владимирской области"
(Зарегистрирован 03.04.2015 № 36727)
"Об утверждении границ территории и предмета охраны исторического поселения федерального значения город Гороховец Владимирской области"
(Зарегистрирован 03.04.2015 № 36727)
Номер опубликования: 0001201504080019
Дата опубликования:
08.04.2015
