Приказ Министерства культуры Республики Крым от 04.05.2022 № 235-окн
"Об утверждении границ территории и режимов использования земель в границах территории объекта культурного наследия регионального значения "Флигель здания офицерского собрания 51-го пехотного Литовского полка, начало XX века", расположенного по адресу: Республика Крым, г. Симферополь, ул. Долгоруковская, 35/ул. Александра Невского, 36, литеры "Б", "Б1"
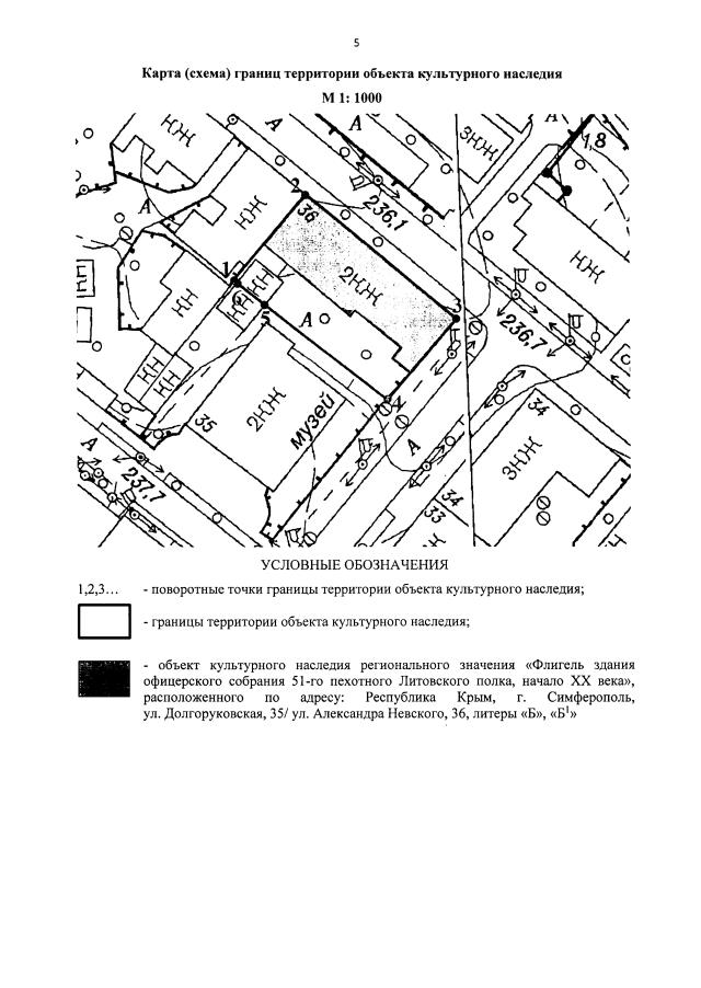
"Об утверждении границ территории и режимов использования земель в границах территории объекта культурного наследия регионального значения "Флигель здания офицерского собрания 51-го пехотного Литовского полка, начало XX века", расположенного по адресу: Республика Крым, г. Симферополь, ул. Долгоруковская, 35/ул. Александра Невского, 36, литеры "Б", "Б1"
Номер опубликования: 9101202205130006
Дата опубликования:
13.05.2022
