Приказ Министерства культуры Республики Крым от 04.05.2022 № 234-окн
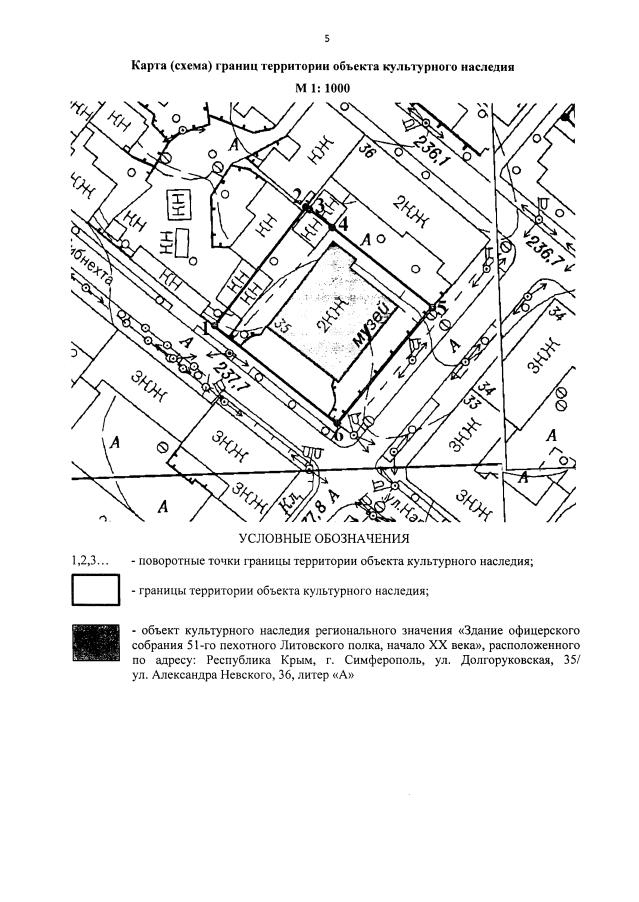
"Об утверждении границ территории и режимов использования земель в границах территории объекта культурного наследия регионального значения "Здание офицерского собрания 51-го пехотного Литовского полка, начало XX века", расположенного по адресу: Республика Крым, г. Симферополь, ул. Долгоруковская, 35/ ул. Александра Невского, 36, литер "А"
"Об утверждении границ территории и режимов использования земель в границах территории объекта культурного наследия регионального значения "Здание офицерского собрания 51-го пехотного Литовского полка, начало XX века", расположенного по адресу: Республика Крым, г. Симферополь, ул. Долгоруковская, 35/ ул. Александра Невского, 36, литер "А"
Номер опубликования: 9101202205130005
Дата опубликования:
13.05.2022
