Официальное опубликование правовых актов
ОФИЦИАЛЬНОЕ ОПУБЛИКОВАНИЕ
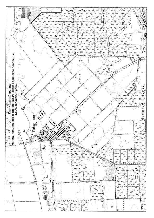
Закон Республики Крым от 25.08.2021 № 212-ЗРК/2021
"О внесении изменения в статью 16 Закона Республики Крым "Об установлении границ муниципальных образований и статусе муниципальных образований в Республике Крым"
Номер опубликования: 9100202108260002
Дата опубликования: 26.08.2021
Страница №180 из 1546:
Увеличить