Официальное опубликование правовых актов
ОФИЦИАЛЬНОЕ ОПУБЛИКОВАНИЕ
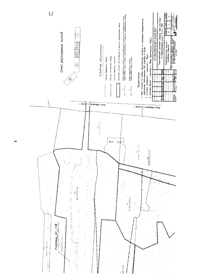
Распоряжение Правительства Тверской области от 13.11.2020 № 990-рп
"О резервировании земельных участков, находящихся в зоне строительства объекта "Строительство мостового перехода через реку Волга в г. Твери (Западный мост (в т. ч. ПИР)"
Номер опубликования: 6900202011160002
Дата опубликования: 16.11.2020
Страница №8 из 22:
Увеличить