Официальное опубликование правовых актов
ОФИЦИАЛЬНОЕ ОПУБЛИКОВАНИЕ
Приказ Комитета по охране объектов культурного наследия Курской области от 15.01.2021 № 01.1-08/18
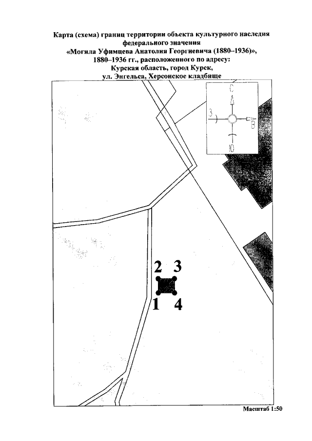
"Об утверждении границ и режима использования территории объекта культурного наследия федерального значения "Могила Уфимцева Анатолия Георгиевича (1880—1936)", 1880—1936 гг.‚ расположенного по адресу: Курская область, город Курск, ул. Энгельса, Херсонское кладбище"
Номер опубликования: 4601202101200006
Дата опубликования: 20.01.2021
Страница №4 из 7:
Увеличить