Официальное опубликование правовых актов
ОФИЦИАЛЬНОЕ ОПУБЛИКОВАНИЕ
Приказ Министерства имущественных и земельных отношений Камчатского края от 13.09.2024 № 71-Н
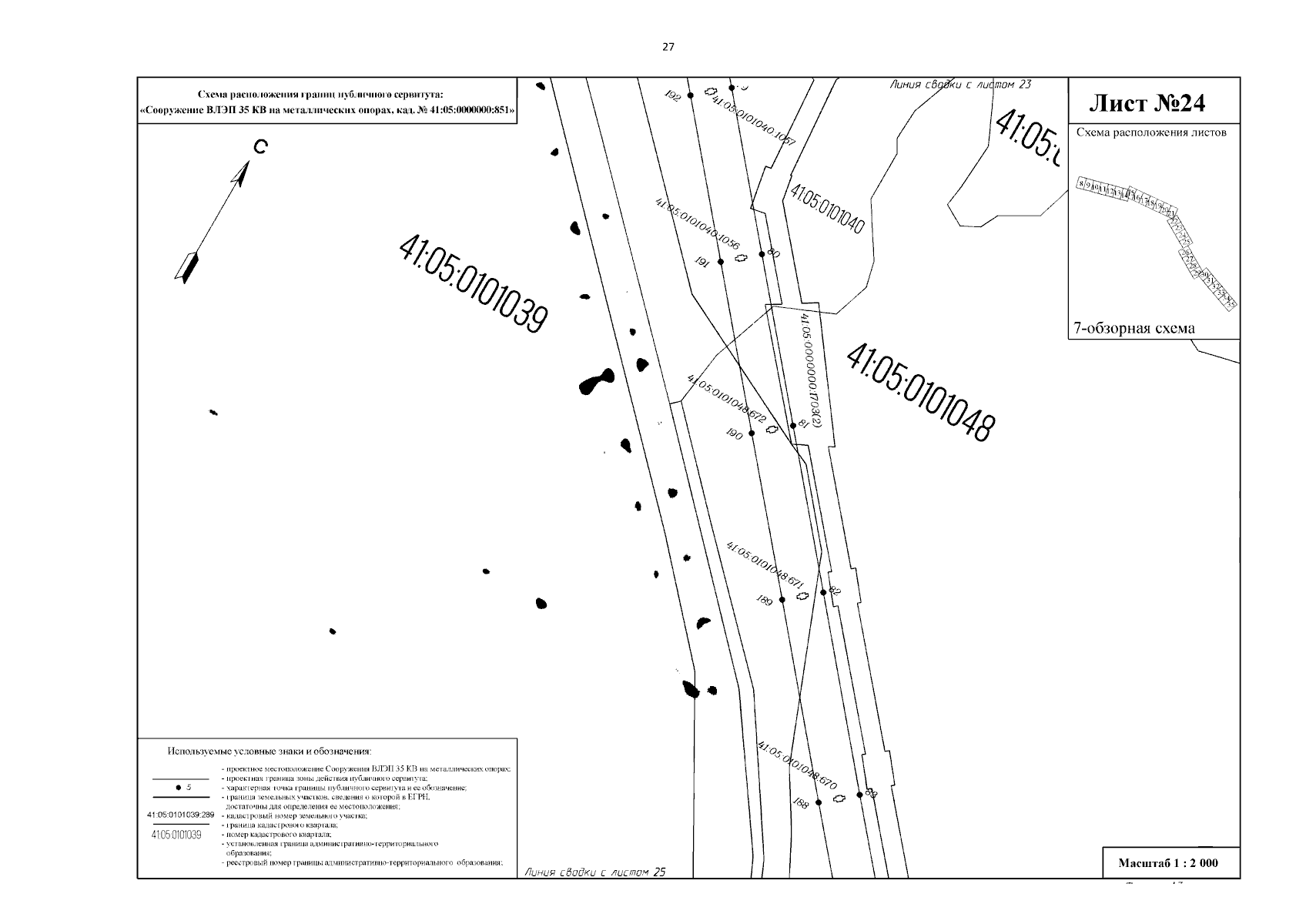
"О внесении изменений в приказ Министерства имущественных и земельных отношений Камчатского края от 30.05.2024 № 42-Н "Об установлении публичного сервитута в целях размещения объекта электросетевого хозяйства "Сооружение ВЛЭП 35 кв на металлических опорах" с кадастровым номером 41:05:0000000:851"
(Зарегистрирован 13.09.2024 № 71-Н)
Номер опубликования: 4101202409190003
Дата опубликования: 19.09.2024
Страница №27 из 38:
Увеличить