Официальное опубликование правовых актов
ОФИЦИАЛЬНОЕ ОПУБЛИКОВАНИЕ
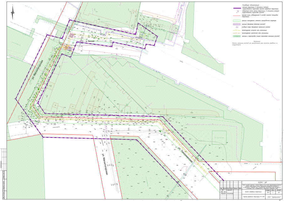
Приказ Агентства по архитектуре, градостроению и перспективному развитию Калининградской области от 09.06.2021 № 235
"Об утверждении проекта планировки территории с проектом межевания в его составе, предусматривающего размещение линейного объекта местного значения "Строительство канализационных коллекторов по ул. Механической, ул. Карташева в мкр. А. Космодемьянского (магистральные сети)", расположенного в г. Калининграде, в мкр. А. Космодемьянского, ул. Механическая ул. Карташева (I этап)"
Номер опубликования: 3901202106160005
Дата опубликования: 16.06.2021
Страница №26 из 37: